
-
From Our Gallery
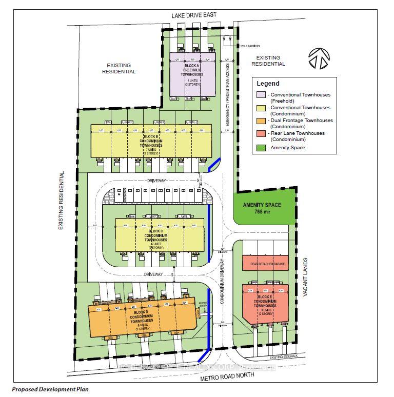
Description
Prime 2.087-acre development site in the heart of Jacksons Point, just steps from the south shores of Lake Simcoe. Well-positioned parcel with dual road frontages, ideally suited for multi-residential development in a growing lakeside community. Draft plan approved for 24 townhomes, with potential to revise to approximately 18-24 duplex-style rental units, which may be eligible for CMHC MLI Select financing. Zoned residential with water and sewer at the lot line. Extensive due diligence completed, including architectural, civil, environmental, traffic, and survey work, helping fast-track development. Walkable location close to shops, restaurants, transit, and the lake. Approximately 20 minutes to Hwy 404 and under one hour to Toronto. An excellent opportunity for developers and investors seeking long-term growth in Jackson's Point.
Location Description
Lake Dr E & Dalton Rd
Property Detail
- Community: Sutton & Jackson's Point
- Property Type: Vacant/Residential Freehold
- Annual Property Taxes : $ 5980.27
- sqft
Facts and Features
- Total Parking Space : 50
Amenities
Listing Contracted With: RC BEST CHOICE REALTY CORP






