
-
From Our Gallery
Description
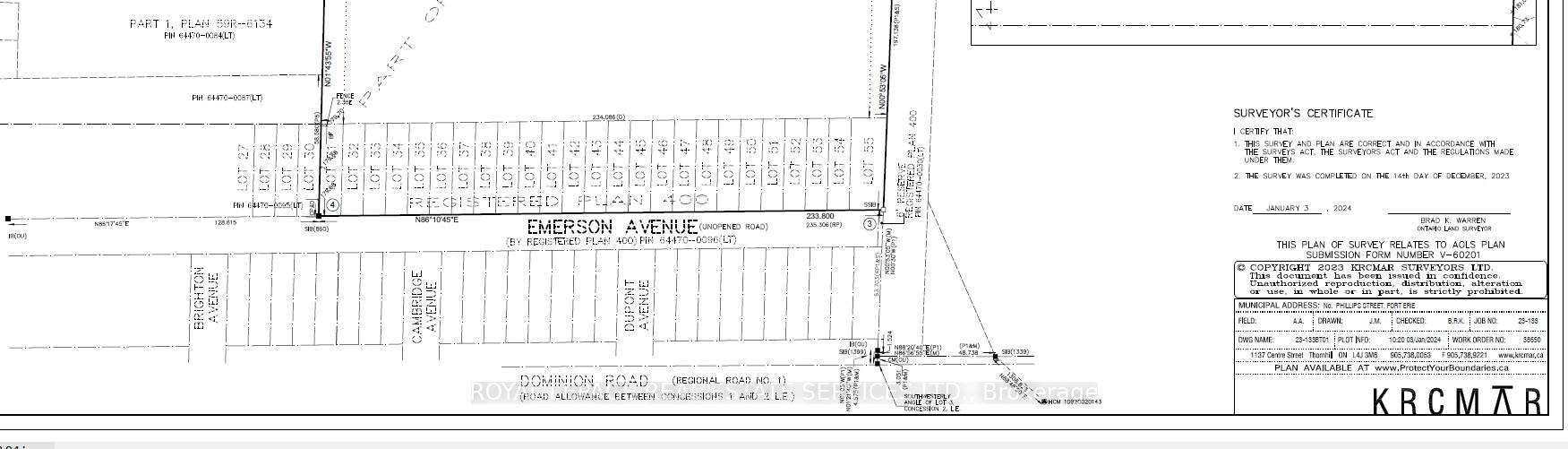
Two Parcel of Vacant Land, Walking Distance to the Crescent Beach, Conceptual plan showing 24 single lots(previously registred) on Emerson & Townhouses on the Dominion Road site, Buyer to do their own due diligence, the lots on Emerson are on the survey and legal description, the area is walking distance to the beach, services are available nearby to be extended to the property, Property is 6km from the Peace Bridge and entry into the United States,and only 4km from Queen Elizabeth Way. The surrounding community is primarily residential, with neighbourhoodbusinesses and some institutional uses (schools, sports centres). The site has high visibility from Dominion Road, waterfront areas. 5-minute drive from Walmart, Starbucks, Sobeys, LCBO. Fort Erie is projecting growth to 48,050 residents and 18,430 jobs by theyear 2051, needing to accommodate 15,230 new residents.
Location Description
Crescent & Dominion Road
Property Detail
- Community: 334 - Crescent Park
- Property Type: Vacant/Commercial
- Annual Property Taxes : $ 2165
- sqft
Facts and Features
Amenities
Listing Contracted With: ROYAL LEPAGE REAL ESTATE SERVICES LTD.






